Das Abu Ghusun Wrack befindet sich im Wadi-el-Gemal Nationalpark, circa 80 km südlich von Marsa Alam, am Strand von Abu Ghusun. Als das Schiff am 29. Juni 1993 vor der ägyptischen Küste am Strand von Abu Ghusun auf das Riff lief und sank trug es den Namen Hamada. Das Schiff hatte Plastikgranulat geladen, von welchem auch heute noch Reste am Strand zu finden zu sind.
Tauchplatz am Abu Ghusun Wrack
Der Tauchplatz befindet sich ca. 30 min. nördlich vom Hotel Wadi Lahmy Azur Resort. Nach dem Briefing durch den Dive Master machen sich alle Taucher fertig. Wir bauen unsere Tauchausrüstung zusammen und starten den Kampf in den Tauchanzug zu kommen. Nachdem wir auch das geschafft haben steht dem ersten Tauchgang dieses Tages nichts mehr im Weg. Wir freuen uns das Abu Ghusun Wrack zu erkunden.
Einstieg ins Wasser
Der Einstieg erfolgt vom Abu Ghusun Strand aus. Wie eine aufgereihte Entenfamilie geht es erst einmal ins Wasser und wir gehen die ersten ca. 50 Meter auf eine Boje zu. Ab jetzt ist das Wasser tief genug. Wir legen unsere Flossen und Taucherbrillen an, ein letzter Check, ab auch wirklich alle Schnallen zu und die Flaschen offen sind und dann gehe es nochmals ca. 20 Meter hintereinander im Schnorchelmodus weiter. So, geschafft. Ab jetzt geht es abwärts und wir können wieder nebeneinander den Tauchgang genießen.
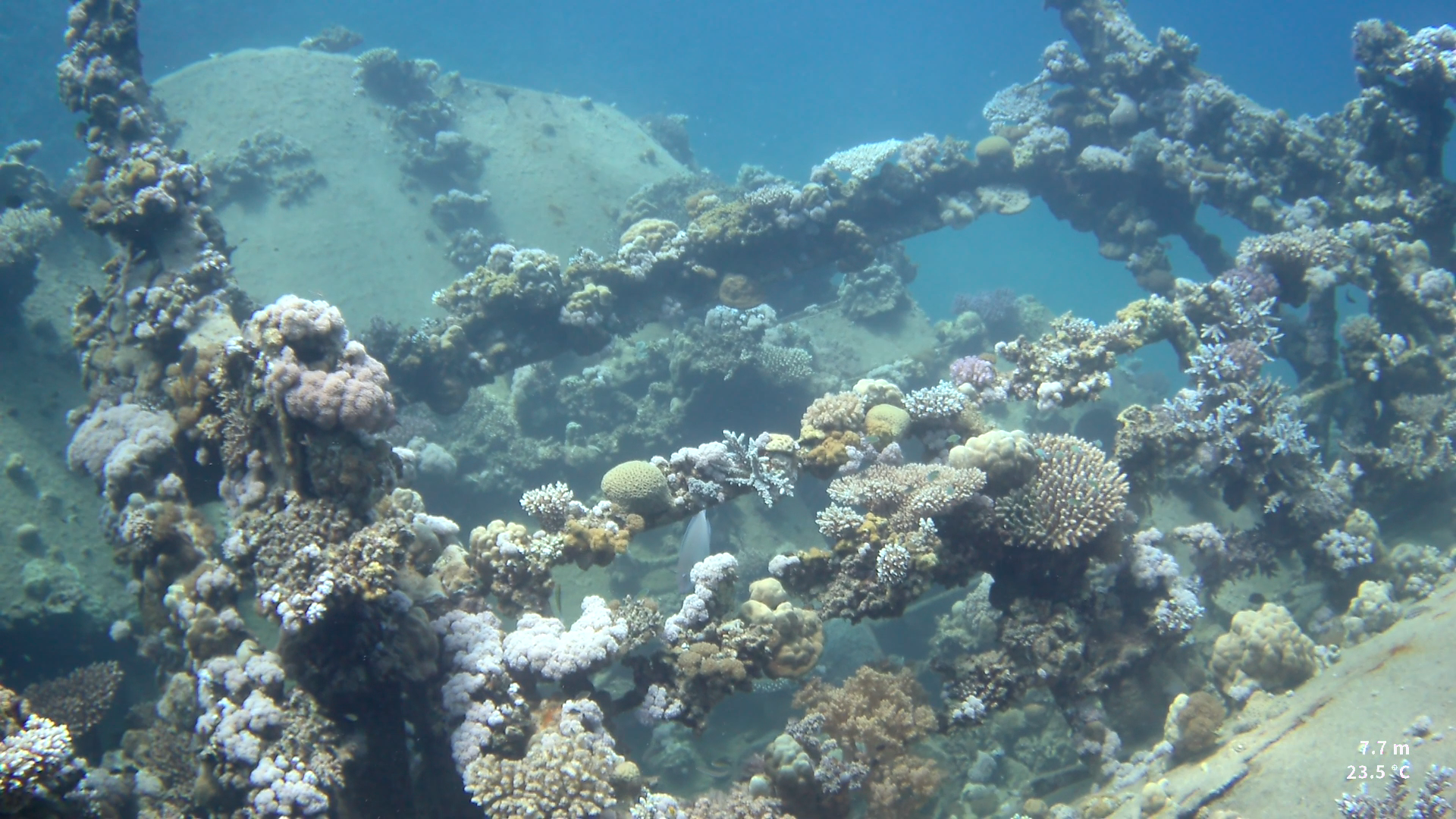
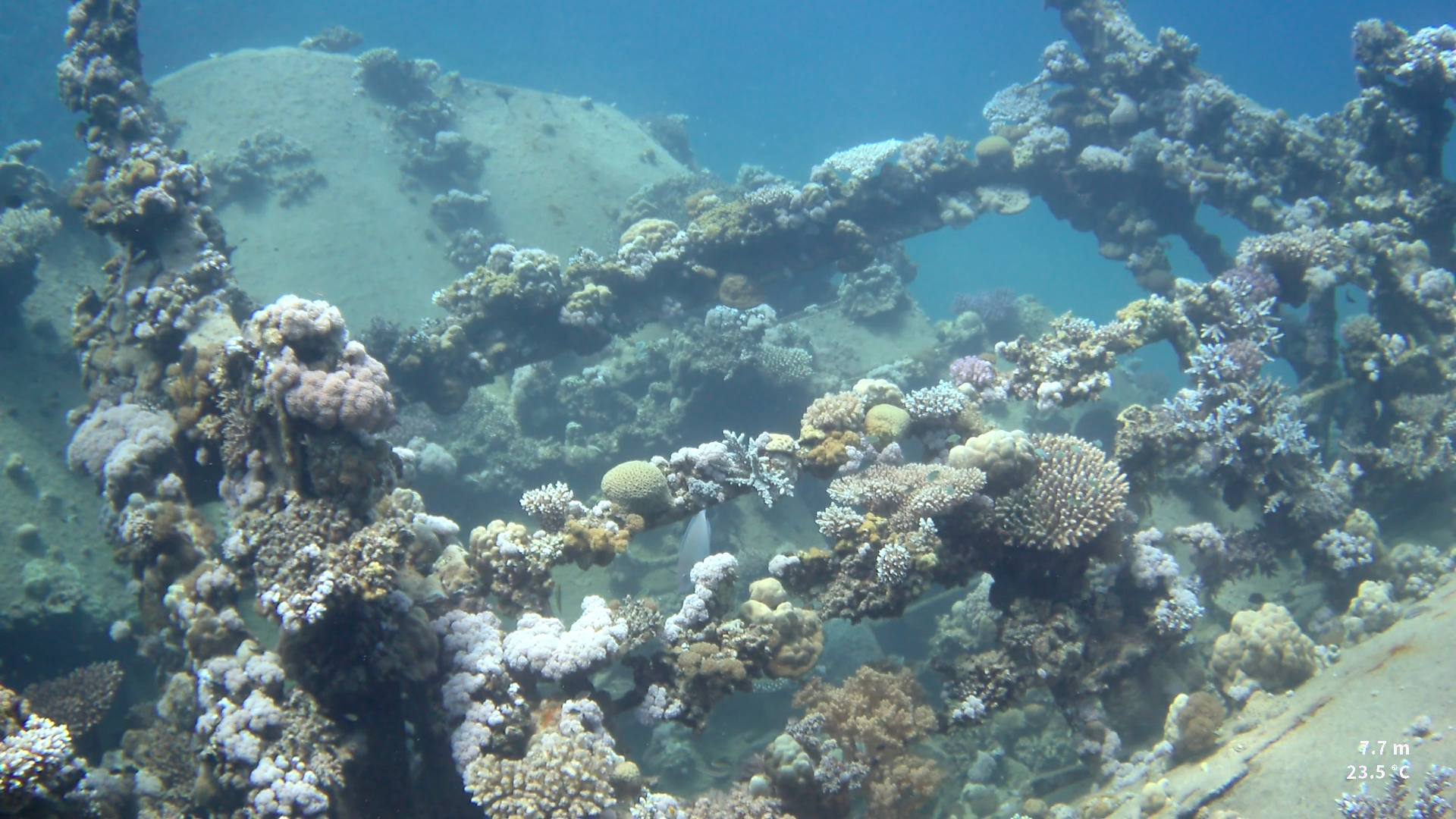
Das Abu Ghusun Wrack
Zu Beginn des Tauchgangs geht es über sandigen Boden mit ein wenig Seegras in süd-östliche Richtung – hier ist noch nichts aufregendes zu sehen. Aber dann taucht wie aus dem Nichts vor uns das Wrack auf. Das Wrack ist bei der Havarie in zwei Teile zerbrochen. In der Zwischenzeit haben zahlreiche Weich- und Hartkorallen das Wrack als neue Heimat angenommen und auch Schwärme von Glastischen und Feuerfischen tummeln sich am und im Wrack.
Während unseres Tauchgangs dreht eine Wasserschildkröte ihre Runden am und über dem Wrack. Es machte den Eindruck, als ob auch sie – oder war es ein er? – einen Ausflug zum Schiffswrack unternommen hat und die Zeit hier genießt.
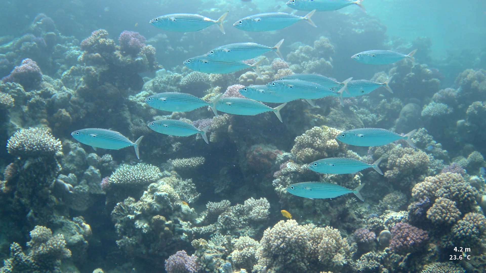
Impressionen vom Tauchgang am Abu Ghusun Wrack
Da leider auch der schönste Tauchgang irgendwann zu ende geht, machen wir uns nach der aus ausgiebigen Erkundung auf den Rückweg. Bis kurz vor dem Auftauchen geht es erst einmal entlang am wunderschönen Korallengarten und dann noch ein ganz kleines Stück über den sandigen Boden und schon haben wir die kleine weiße Boje erreicht, die den Ein- und Ausstiegspunkt markiert.









Pingback:Tauchen in Wadi Lahmy - Reisefeeling.world